Corn Pest Beat Articles

Indiana Prairie Farmer publishes a column written by Tom Bechman with the help of CCAs for CCAs and their clients. With permission from Prairie Farmer we are posting these Soybean and Corn Pest Beat articles on the CCA website. Many thanks to the authors and the support of Indiana Prairie Farmer.

Pros and cons of cutting costs for insect protection

The Indiana Certified Crop Adviser panel this month includes Steve Gauck, an agronomy manager for Beck’s, Greensburg; Jeff Nagel, agronomist for Keystone Cooperative, Lafayette; Marty Park, agronomist with Gutwein Seed Services, Rensselaer; and Dan Quinn, Purdue University Extension corn specialist, West Lafayette. 
 
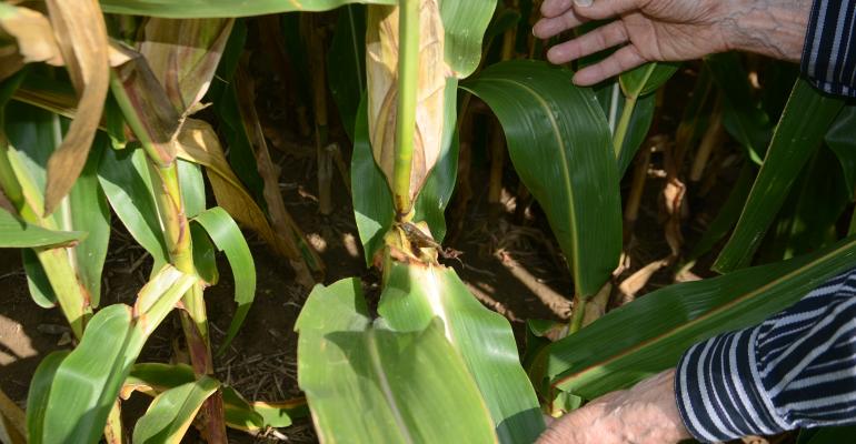
We hear about a lot of insect pests: corn borer, rootworm, cutworm, wireworm, earworm and more. I must cut costs. Which ones should I worry about most? What is the least-cost solution that gives me the most protection?
 
Gauck: All these pests require different methods of control. Some are not easy to control after planting. What pest has been your biggest yield robber recently? This should be your target pest. Be prepared before planting to act. 
 
If it is belowground insects, you need a plan long before planting. Areas with a history of rootworm damage need traited corn or insecticide with the planter. For wireworms, many times we get suppression with strong seed treatment. Cutworm can be scouted and sprayed in season. They come during planting and sidedress timing, so pay attention to moth flights. 
 
Corn borer and earworms are a challenge. You can watch moth flights and chase them with a sprayer, but you may need multiple applications since they can have multiple generations. Again, traited corn is your simplest option. To save cost, determine what is the biggest yield loss you can take. Insect control takes scouting and a plan to act fast.
 
Nagel: The adoption of corn hybrids with insect protecting traits and insecticidal seed treatments have reduced widespread insect issues. Insect concerns are usually more localized in any given year. Recently, we experienced field-specific issues from Asiatic garden beetles on sandy soils in northern Indiana and corn leaf aphids on certain hybrids with specific weather conditions. We’ve also seen western bean cutworm in northern Indiana, corn rootworm in corn-on-corn fields, armyworm with grassy cover crops and spotty cases of corn earworm.
 
Traited hybrids offer aboveground protection for insects like European corn borer, corn earworm and western bean cutworm and belowground protection for corn rootworm, or both. Evaluate what hybrids you’re planting. Know what insect protection you’re getting. Trait packages differ on specific insects protected. 
 
Corn rootworm larvae protection should be considered primarily in corn-on-corn rotations. In higher-risk situations for black cutworm or armyworm, such as weedy fields or grass cover crops, scout fields and treat as needed.
 
Non-GMO traited corn and popcorn require more thought around management for potential insect pests.
 
Park: The potential for insect pressure varies by location, farming practices, previous crop, weather patterns and insect biology. European corn borer pressure seems higher in areas that grow a lot of non-GMO corn every year. Weather also influences this pest. 
 
In northwest Indiana on heavier soil, you might have risk of corn rootworm larvae feeding. We haven’t seen much rootworm pressure on sandy soils recently. Other areas around Indiana have very little risk of corn rootworm larvae feeding. If you plant into fields with lots of early spring vegetation, watch for cutworms if moths are blown north. [When] planting into set-aside, sod or where small grains were planted, watch for wireworms, especially in colder, wetter springs. 
 
Earworm pressure depends upon the year. Some pests are best controlled by protection built into seed or seed treatment. If you’re looking to save money, you might not need all that built-in technology. Some insects can be controlled with a timely “rescue” treatment, but that requires very timely scouting. There is not a rescue treatment for wireworms or corn rootworm larvae. So know your insect potential. Consider if the risk is worth the savings. Make decisions based upon value, not cost. 
 
Quinn: To cut insect management costs, focus on pests that pose economic risk under current Indiana conditions and your own field environments. While pests such as corn borer, rootworm, cutworm, wireworm and earworm are all discussed throughout the year, they don’t all warrant the same level of concern. 
 
At present, Indiana is experiencing historically low corn rootworm pressure. It may be viable to plant hybrids without rootworm protection in a corn-soybean rotation. However, this should not be done in continuous corn. Even in rotated fields, if you move away from rootworm-resistant hybrids, [you should] monitor beetle populations using sticky traps or by digging and evaluating roots. Rootworm pressure can change over time. Even if you haven’t seen issues for several years, eliminating protection still carries some risk.
 
For other common pests, the economic threat is generally lower and more situational. European corn borer remains at very low levels. Cutworm and wireworm issues tend to be highly field-specific, typically occurring in early planted fields with heavy residue, winter annual weeds, or fields coming out of sod or long-term grass systems. Corn earworm impacts sweet corn most. In field corn, damage is usually cosmetic and rarely reaches economic thresholds. 
 
The least-cost strategy that still provides meaningful protection is to match your pest management approach to actual field-level risk. Use full trait packages only where justified, stepping down to fewer traits in rotated fields with low pressure. Rely on scouting rather than preventative insecticides for early season pests. 
 
Maintain annual monitoring for rootworm even if you reduce or remove trait protection. This approach helps minimize costs while preserving yield potential. Respond quickly if pest pressure increases again.

Read full article